Chủ động ứng phó với diễn biến và mưa lớn do ảnh hưởng của cơn bão số 9 gây ra trên địa bàn xã.

17:27 23/09/2025

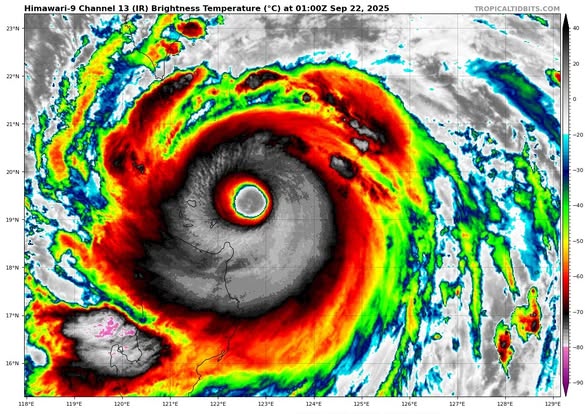
Theo tin của Trung tâm dự báo Khí tượng thuỷ văn Quốc gia: Siêu bão Ragasa hôm nay có thể mạnh lên cấp 17, dự báo đến chiều tối đi vào Biển Đông và trở thành cơn bão thứ 9 trong năm nay. Rạng sáng nay, siêu bão cách đảo Luzon (Philippines) khoảng 230 km, sức gió mạnh nhất 221 km/h, cấp 16 - 17, giật trên cấp 17 và đang theo hướng Tây Tây Bắc với tốc độ 20 km/h. Đến rạng sáng mai 23/9, siêu bão trên bắc Biển Đông, sức gió mạnh nhất cấp 17, giật trên cấp 17, giữ hướng tốc độ và có khả năng mạnh thêm. Đến 01h00 ngày 24/9, bão Ragasa cách bán đảo Lôi Châu (Trung Quốc) khoảng 490 km về phía Đông, sức gió mạnh nhất cấp 16 - 17, giật trên cấp 17.

Một ngày sau, bão trên vùng biển phía đông bán đảo Lôi Châu, sức gió giảm còn cấp 14 - 15, giật trên cấp 17. Sau đó, bão chuyển hướng Tây Tây Nam và đi vào Vịnh Bắc Bộ. Do ảnh hưởng của siêu bão, cơ quan khí tượng xác định cấp độ rủi ro thiên tai cấp 4 trên thang 5 cấp đối với vùng biển phía đông Bắc Biển Đông. Khu vực biển này gió mạnh dần lên cấp 8 - 9, sau tăng lên cấp 10 - 14, vùng gần tâm siêu bão đi qua cấp 15 - 17, giật trên cấp 17, sóng biển cao trên 10 m. Dự báo trong ngày 25 - 26/9 thành phố Hà Nội sẽ có mưa mưa to, có nơi mưa rất to và dông lốc, trong cơn dông cần đề phòng nguy cơ xảy ra lốc, sét và gió giật mạnh.

Chủ động ứng phó với diễn biến và mưa lớn do ảnh hưởng của cơn bão số 9 gây ra trên địa bàn xã.- Ảnh 1.

Thực hiện chỉ đạo của UBND, Ban chỉ huy Phòng thủ dân sự thành phố Hà Nội, văn bản số 12519/SXD-CTN ngày 22/9/2025 của Sở Xây dựng Hà Nội về việc chủ động ứng phó với diễn biến cơn bão số 9 (bão Ragasa) gây ảnh hưởng trên địa bàn thành phố Hà Nội; Để chủ động ứng phó với diễn biến của cơn bão, tình hình mưa lớn xảy ra và giảm thiểu tối đa thiệt hại do thiên tai, Ban Chỉ huy PCTT và TKCN xã yêu cầu các thành viên BCH, Trưởng thôn, thủ trưởng các cơ quan, đơn vị tập trung chỉ đạo, sẵn sàng triển khai kịp thời, hiệu quả các phương án, kế hoạch, biện pháp ứng phó thiên tai, sự cố, trong đó tập trung một số nhiệm vụ sau:

1. Các thành viên BCH PCTT và TKCN xã:

Theo chức năng, nhiệm vụ được giao và phân công địa bàn phụ trách để tiến hành ngay việc kiểm tra, đôn đốc khu vực, các thôn, các cơ quan, đơn vị triển khai thực hiện ngay các phương án phòng chống thiên tai, tìm kiếm cứu nạn theo quy định, kịp thời nắm bắt tình hình khi có mưa lớn xảy ra để kịp thời báo cáo về UBND xã và Bab chỉ huy PCTT và TKCN xã.

2. Phòng Kinh tế xã:

- Theo dõi chặt chẽ diễn biến của cơn bão số 9, tình hình thời tiết trên các phương tiện thông tin đại chúng và chỉ đạo của Thành phố để tham mưu cho Ban chỉ huy và thông tin, cảnh báo kịp thời đến người dân chủ động có các biện pháp phòng tránh, chủ động bảo vệ lúa và cây màu vụ mùa. Tiến hành rà soát các phương án ứng phó thiên tai, sự cố, vật tư, phương tiện, lực lượng theo phương châm "bốn tại chỗ", sẵn sàng triển khai ứng phó với mọi tình huống có thể xảy ra. Kịp thời tham mưu cho UBND xã, BCH PCTT và TKCN xã các văn bản chỉ đạo ứng phó và tổ chức kiểm tra đê tại các điểm xung yếu, các khu vực thường xuyên úng ngập để xử lý trước khi bão đổ bộ vào đất liền.

- Kiểm tra, rà soát vật tư, phương tiện, lực lượng theo phương châm "bốn tại chỗ", sẵn sàng các phương án, chủ động ứng phó khi có tình huống xảy ra. Phối hợp với Xí nghiệp thủy lợi Thạch Thất kiểm tra các công trình thuỷ lợi, khơi thông dòng chảy ở các trục kênh tiêu, chủ động vận hành các trạm bơm tiêu nước đệm ở trong đồng. Phân công cán bộ phối hợp với các đồng chí Trưởng thôn, điếm canh đê tăng cường kiểm tra các trọng điểm xung yếu về đê điều, công trình thuỷ lợi, các công trình đang thi công để thực hiện các biện pháp đảm bảo an toàn, kịp thời phát hiện và xử lý ngay từ giờ đầu các sự cố. Sẵn sàng lực lượng, vật tư, phương tiện tại chỗ để kịp thời hỗ trợ người dân khắc phục hậu quả thiên tai, sự cố, đảm bảo giao thông trên các trục giao thông chính khi xảy ra mưa lớn.

- Phối hợp, hỗ trợ các thôn tổ chức cắt tỉa cây nặng tán, sâu mục, chết khô có khả năng gãy đổ trước khi bão vào đất liền. Thường xuyên kiểm tra các địa bàn dân cư, các hộ dân sống ở khu vực có khả năng bị ảnh hưởng của lũ quét, sạt lở đất để chủ động phương án di dời khi cần thiết, kiên quyết di chuyển các hộ dân tại các khu vực nhà ở không đảm bảo, chân đồi khi có mưa lớn xảy ra để đảm bảo an toàn. Các thôn vùng trũng thấp ven Tích chủ động sơ tán nhân dân đến nơi an toàn, thường xuyên thông tin, cảnh báo nguy hiểm, tránh đuối nước, điện giật. Khi có tình huống bất thường xảy ra cần triển khai ngay các phương án đã xây dựng, chủ động xử lý ngay để hạn chế thấp nhất thiệt hại do mưa lớn gây ra.

- Chỉ đạo lực lượng canh đê, gác cống tổ chức trực, tuần tra, canh gác đê, cống để phát hiện sự cố ngay từ giờ đầu, thực hiện hoành triệt các cống qua đê, không để nước sông tràn vào đồng gây ngập úng diện tích lúa, hoa màu.

- Tổ chức trực 24/24h tại cơ quan để theo dõi, xử lý, tổng hợp và báo cáo kịp thời mọi diễn biến của mưa bão, công tác xử lý, khắc phục trên địa bàn về BCH PCTT và TKCN xã theo quy định.

3. Ban chỉ huy Quân sự xã:

- Thực hiện nghiêm chức năng cơ quan Thường trực Ban chỉ huy phòng thủ dân sự xã. Phối hợp với Phòng Kinh tế xã, Trưởng các thôn sẵn sàng huy động lực lượng xung kích kiểm tra, rà soát các khu dân cư ven sông Tích, khu vực thấp trũng, có nguy cơ xảy ra ngập lụt, sạt lở đất để chủ động khơi thông dòng chảy những nơi bị tắc, nghẽn; Tổ chức di dời, sơ tán người dân đến nơi an toàn, đảm bảo an toàn về người và tài sản khi có tình huống xảy ra. Sẵn sàng lực lượng tại chỗ để kịp thời hỗ trợ người dân khắc phục hậu quả (nếu có).

- Kiểm tra, rà soát vật tư, phương tiện, lực lượng theo phương châm "bốn tại chỗ", sẵn sàng các phương án, chủ động ứng phó khi có tình huống xảy ra. Phối hợp với Phòng Kinh tế, Xí nghiệp thủy lợi Thạch Thất tăng cường kiểm tra các trọng điểm xung yếu về đê điều, công trình thuỷ lợi phục vụ tiêu thoát úng trên địa bàn, các công trình đang thi công để thực hiện các biện pháp đảm bảo an toàn.

4. Công an xã:

Rà soát phương án phân luồng, đảm bảo an toàn giao thông, huy động phương tiện tham gia làm nhiệm vụ xử lý các tình huống thiên tai khi bão đi vào đất liền và ảnh hưởng trực tiếp trên địa bàn xã và theo chỉ đạo của UBND xã.

5. Phòng Văn hóa - Xã hội, Trung tâm VH-TT và Thể thao xã.

- Khẩn trương rà soát, thống kê, xây dựng phương án sẵn sàng hỗ trợ, cứu trợ các gia đình liệt sĩ, thương binh, bệnh binh, gia đình có công với cách mạng, đối tượng chính sách, bảo trợ xã hội...

- Tăng cường công tác thông tin, tuyên truyền, phổ biến, hướng dẫn kỹ năng nhận biết, biện pháp phòng tránh, ứng phó với mưa lớn có thể kèm theo dông, lốc, sét, gió giật mạnh gây lũ, ngập lụt, sạt lở đất do bão số 9 gây ra để nhân dân, đặc biệt là người dân trực tiếp sản xuất nông nghiệp, xây dựng, lao động ngoài trời,... để giảm thiểu thiệt hại khi bão đổ bộ và mưa lớn trên địa bàn. Thường xuyên cập nhật diễn biến cơn bão số 9, tình hình thiên tai, tăng cường thời lượng phát sóng, tuyên truyền thông tin kịp thời trên Trang thông tin điện tử xã và hệ thống Đài truyền thanh xã để nhân dân biết và chủ động phòng tránh, ứng phó, chủ động khắc phục hậu quả khi thiên tai, sự cố xảy ra.

6. Đề nghị Xí nghiệp thuỷ lợi Thạch Thất:

Tổ chức phân công cán bộ, công nhân viên trực 24/24h, kiểm tra thiết bị, máy bơm để vận hành ngay các trạm bơm tiêu nước đệm trong đồng, hạn chế tình trạng ngập úng tại các khu dân cư, các khu vực sản xuất nông nghiệp trũng thấp. Theo dõi, báo cáo tình hình vận hành bơm tiêu úng về BCH phòng chống thiên tai và TKCN xã (Qua Phòng Kinh tế xã tổng hợp).

7. Công ty Điện lực Thạch Thất, HTX NN Đại đồng, HTX NN & Dịch vụ tổng hợp Kim Quan:

Xây dựng phương án, chuẩn bị đầy đủ máy móc thiết bị, kịp thời khắc phục nhanh các sự cố (nếu có) đối với hệ thống điện, đảm bảo cung cấp điện phục vụ tiêu chống úng ngập và sản xuất, sinh hoạt của nhân dân.

8. Trưởng thôn, Đội Trưởng các điếm canh đê:

- Tập trung chỉ đạo, kiểm tra, đôn đốc và triển khai ngay các biện pháp ứng phó với bão số 9 trên địa bàn thôn; tổ chức trực để theo dõi tình hình thiên tai và tổ chức triển khai ứng phó; thường xuyên tổng hợp, báo cáo đầy đủ, kịp thời tình hình thiên tai, sự cố và công tác phòng ngừa, ứng phó, khắc phục hậu quả về UBND xã (qua Phòng Kinh tế xã); chịu trách nhiệm trước UBND xã, Chủ tịch UBND xã về công tác phòng, chống thiên tai và tìm kiếm cứu nạn theo địa bàn, lĩnh vực phụ trách.

- Theo dõi chặt chẽ các bản tin cảnh báo, dự báo và diễn biến của bão để thông báo, hướng dẫn, đôn đốc nhân dân ở các vùng trũng thấp chủ động kê kích, vận chuyển tài sản lên các vị trí cao ráo, chuẩn bị đầy đủ lương thực, thực phẩm phòng tránh, giảm thiểu thiệt hại do tác động của thiên tai, sự cố gây ra. Phối hợp với Ban chỉ huy quân sự xã để huy động lực lượng xung kích thực hiện nhiệm vụ.

- Chủ động kiểm tra các điểm thường xuyên bị ngập úng cục bộ trong khu dân cư khi mưa lớn xảy ra, thực hiện khơi thông dòng chảy ở các trục kênh tiêu, rãnh thoát nước trong khu dân cư để đảm bảo tiêu thoát nước nhanh chóng, kịp thời khi có mưa lớn xảy ra. Thực hiện phương án đảm bảo vệ sinh môi trường, phòng, chống dịch bệnh khi mưa lũ, úng ngập xảy ra trên địa bàn; rà soát đến từng hộ dân sinh sống tại các khu vực có nguy cơ ảnh hưởng, mất an toàn để kịp thời sơ tán đến nơi an toàn.

- Chủ động kiểm tra, rà soát, tổ chức cắt tỉa cây nặng tán, cây có nguy cơ gãy đổ; đặc biệt xử lý ngay các trường hợp cây sâu, mục, chết khô có khả năng gãy đổ đột ngột; thực hiện gia cố, chằng chống để cây trồng không bị nghiêng, gãy, đổ khi có mưa, gió lớn do ảnh hưởng trực tiếp của bão số 9 gây ra

- Tập trung tổ chức triển khai tổ chức lực lượng canh gác, kiểm soát, hỗ trợ, hướng dẫn đảm bảo giao thông an toàn cho người và phương tiện, nhất là tại các khu vực ngập sâu, nước chảy xiết, khu vực có nguy cơ xảy ra sạt lở; sẵn sàng phương án tiêu nước chống úng bảo vệ sản xuất nông nghiệp, công nghiệp và khu tập trung dân cư trên địa bàn.

- Đội trưởng các Điếm canh đê tổ chức trực, tuần tra, canh gác đê, cống để phát hiện sự cố ngay từ giờ đầu, thực hiện hoành triệt các cống qua đê, không để nước sông tràn vào đồng gây ngập úng diện tích lúa, hoa màu

9. Các cơ quan hành chính, đơn vị sự nghiệp trên địa bàn xã:

Thực hiện nghiêm việc trực tại cơ quan trong suốt thời gian trước, trong và sau khi bão đổ bộ gây ảnh hưởng đến khu vực miền Bắc và thành phố Hà Nội để kịp thời xử lý các tình huống do bão số 9 gây ra, kịp thời báo cáo tình hình mưa, lũ, úng, ngập, thiệt hại về Ban chỉ huy PCTT và TKCN xã Thạch Thất để tổng hợp và báo cáo thành phố theo quy định.

Tin đọc nhiều

KHUYẾN CÁO PHÒNG, CHỐNG DỊCH BỆNH MÙA HÈ

08:18 31/03/2026

Bệnh tay chân miệng là bệnh nhiễm vi rút cấp tính, lây truyền theo đường tiêu hóa, thường gặp ở trẻ nhỏ và có khả năng gây thành dịch lớn. Bệnh hiện chưa có vắc xin phòng bệnh.

XÃ THẠCH THẤT TIẾP SÓNG HỘI NGHỊ TRỰC TUYẾN TOÀN QUỐC TỔNG KẾT CÔNG TÁC BẦU CỬ ĐẠI BIỂU QUỐC HỘI KHÓA XVI VÀ ĐẠI BIỂU HĐND CÁC CẤP, NHIỆM KỲ 2026 – 2031

08:16 31/03/2026

Chiều ngày 31/3, Hội đồng Bầu cử quốc gia đã tổ chức Hội nghị trực tuyến toàn quốc nhằm tổng kết công tác bầu cử đại biểu Quốc hội khóa XVI và đại biểu HĐND các cấp nhiệm kỳ 2026 - 2031. Hội nghị do Ủy viên Bộ Chính trị, Chủ tịch Quốc hội, Chủ tịch Hội đồng Bầu cử quốc gia Trần Thanh Mẫn chủ trì.

Thạch Thất: Đại hội thành lập Hội người cao tuổi nhiệm kỳ 2026 – 2031

08:12 31/03/2026

Sáng ngày 31/3, Hội Người cao tuổi xã Thạch Thất long trọng tổ chức Đại hội thành lập Hội Người cao tuổi xã, nhiệm kỳ 2026-2031. Đại hội là sự kiện chính trị – xã hội có ý nghĩa quan trọng, đánh dấu bước phát triển mới của tổ chức Hội Người cao tuổi trên địa bàn xã sau quá trình sắp xếp, kiện toàn tổ chức theo chủ trương của Đảng, Nhà nước và thành phố Hà Nội, phù hợp với mô hình chính quyền địa phương hai cấp hiện nay.

Thạch Thất: Tổ chức thành công Hội nghị đại biểu Nhân dân bàn việc xây dựng đời sống văn hóa ở cơ sở năm 2026

08:09 30/03/2026

Chiều ngày 30/3/2026, UBND – UBMTTQ Việt Nam xã Thạch Thất tổ chức Hội nghị Đại biểu nhân dân bàn việc xây dựng đời sống văn hóa ở cơ sở năm 2026. Đây là diễn đàn quan trọng để chính quyền và Nhân dân cùng đánh giá kết quả thực hiện Nghị quyết năm 2025, đồng thời thống nhất chương trình hành động nhằm nâng cao chất lượng đời sống văn hóa, tinh thần tại địa phương trong năm mới.

Tin cùng chuyên mục
Xem theo ngày
Xem
 [THÔNG BÁO] TUYỂN SINH QUÂN SỰ 2026 – CƠ HỘI TRỞ THÀNH SĨ QUAN QUÂN ĐỘI NHÂN DÂN VIỆT NAM
[THÔNG BÁO] TUYỂN SINH QUÂN SỰ 2026 – CƠ HỘI TRỞ THÀNH SĨ QUAN QUÂN ĐỘI NHÂN DÂN VIỆT NAM
TUYỂN SINH QUÂN SỰ 2026 – CƠ HỘI TRỞ THÀNH SĨ QUAN QUÂN ĐỘI NHÂN DÂN VIỆT NAM
10:12 16/03/2026
Thạch Thất: Gặp mặt và tuyên dương thanh niên lên đường nhập ngũ năm 2026
Thạch Thất: Gặp mặt và tuyên dương thanh niên lên đường nhập ngũ năm 2026
Sáng ngày 28/02, trong không khí trang trọng, ấm áp và đầy tự hào, xã Thạch Thất long trọng tổ chức Hội nghị gặp mặt và tuyên dương thanh niên lên đường nhập ngũ năm 2026. Dự hội nghị có đồng chí Trần Hoàng Linh – Phó Bí thư Đảng ủy, Chủ tịch UBND xã, Chủ tịch Hội đồng Nghĩa vụ quân sự xã; đồng chí Vương Thị Thảo – Ủy viên Ban Thường vụ Đảng ủy, Chủ tịch Ủy ban MTTQ Việt Nam xã; cùng các đồng chí trong Ban Thường vụ Đảng ủy, Thường trực Ủy ban MTTQ Việt Nam xã, lãnh đạo các ban, ngành, đoàn thể; đại diện các thôn dân cư và 53 thanh niên trúng tuyển nghĩa vụ quân sự, nghĩa vụ tham gia Công an nhân dân năm 2026.
08:33 28/02/2026
Thạch Thất tổ chức hội nghị trao quyết định nhập ngũ và gặp mặt quân nhân hoàn thành nghĩa vụ quân sự trở về địa phương năm 2026
Thạch Thất tổ chức hội nghị trao quyết định nhập ngũ và gặp mặt quân nhân hoàn thành nghĩa vụ quân sự trở về địa phương năm 2026
Sáng ngày 09/02/2026, UBND xã Thạch Thất tổ chức Hội nghị trao Quyết định cho nam thanh niên nhập ngũ và gặp mặt quân nhân hoàn thành nghĩa vụ quân sự trở về địa phương năm 2026.
08:33 09/02/2026
Xã Thạch Thất tăng cường tuyên truyền pháp luật về quản lý, sử dụng pháo
Xã Thạch Thất tăng cường tuyên truyền pháp luật về quản lý, sử dụng pháo
Nhằm nâng cao nhận thức và ý thức chấp hành pháp luật của cán bộ, công chức, viên chức, người lao động, học sinh, sinh viên và toàn thể Nhân dân trên địa bàn xã, đặc biệt trong dịp Tết Dương lịch và Tết Nguyên đán Bính Ngọ 2026, UBND xã Thạch Thất đẩy mạnh phổ biến các quy định của Nghị định số 137/2020/NĐ-CP và các văn bản liên quan về quản lý, sử dụng pháo.
10:46 06/01/2026
Thạch Thất tổ chức hội nghị tổng kết công tác quốc phòng, quân sự địa phương năm 2025
Thạch Thất tổ chức hội nghị tổng kết công tác quốc phòng, quân sự địa phương năm 2025
Sáng ngày 26/12, UBND xã Thạch Thất đã tổ chức Hội nghị tổng kết công tác quân sự, quốc phòng năm 2025 và tổng kết công tác xây dựng nền Quốc phòng toàn dân năm 2025, đồng thời triển khai phương hướng, nhiệm vụ trọng tâm cho năm 2026.
15:48 27/12/2025
Tổng kết diễn tập tác chiến phòng thủ khu vực 2 - Phúc Thọ và xã Thạch Thất năm 2025
Tổng kết diễn tập tác chiến phòng thủ khu vực 2 - Phúc Thọ và xã Thạch Thất năm 2025
Ngày 17/11, Ban Chỉ huy Phòng thủ khu vực 2 (PTKV2) - Phúc Thọ phối hợp với xã Thạch Thất tổ chức hội nghị tổng kết diễn tập tác chiến phòng thủ khu vực năm 2025.
08:49 19/11/2025
Tin khác
KHUYẾN CÁO PHÒNG, CHỐNG DỊCH BỆNH MÙA HÈ
KHUYẾN CÁO PHÒNG, CHỐNG DỊCH BỆNH MÙA HÈ
Bệnh tay chân miệng là bệnh nhiễm vi rút cấp tính, lây truyền theo đường tiêu hóa, thường gặp ở trẻ nhỏ và có khả năng gây thành dịch lớn. Bệnh hiện chưa có vắc xin phòng bệnh.
08:18 31/03/2026
XÃ THẠCH THẤT TIẾP SÓNG HỘI NGHỊ TRỰC TUYẾN TOÀN QUỐC TỔNG KẾT CÔNG TÁC BẦU CỬ ĐẠI BIỂU QUỐC HỘI KHÓA XVI VÀ ĐẠI BIỂU HĐND CÁC CẤP, NHIỆM KỲ 2026 – 2031
XÃ THẠCH THẤT TIẾP SÓNG HỘI NGHỊ TRỰC TUYẾN TOÀN QUỐC TỔNG KẾT CÔNG TÁC BẦU CỬ ĐẠI BIỂU QUỐC HỘI KHÓA XVI VÀ ĐẠI BIỂU HĐND CÁC CẤP, NHIỆM KỲ 2026 – 2031
Chiều ngày 31/3, Hội đồng Bầu cử quốc gia đã tổ chức Hội nghị trực tuyến toàn quốc nhằm tổng kết công tác bầu cử đại biểu Quốc hội khóa XVI và đại biểu HĐND các cấp nhiệm kỳ 2026 - 2031. Hội nghị do Ủy viên Bộ Chính trị, Chủ tịch Quốc hội, Chủ tịch Hội đồng Bầu cử quốc gia Trần Thanh Mẫn chủ trì.
08:16 31/03/2026
Thạch Thất: Đại hội thành lập Hội người cao tuổi nhiệm kỳ 2026 – 2031
Thạch Thất: Đại hội thành lập Hội người cao tuổi nhiệm kỳ 2026 – 2031
Sáng ngày 31/3, Hội Người cao tuổi xã Thạch Thất long trọng tổ chức Đại hội thành lập Hội Người cao tuổi xã, nhiệm kỳ 2026-2031. Đại hội là sự kiện chính trị – xã hội có ý nghĩa quan trọng, đánh dấu bước phát triển mới của tổ chức Hội Người cao tuổi trên địa bàn xã sau quá trình sắp xếp, kiện toàn tổ chức theo chủ trương của Đảng, Nhà nước và thành phố Hà Nội, phù hợp với mô hình chính quyền địa phương hai cấp hiện nay.
08:12 31/03/2026
Thạch Thất: Tổ chức thành công Hội nghị đại biểu Nhân dân bàn việc xây dựng đời sống văn hóa ở cơ sở năm 2026
Thạch Thất: Tổ chức thành công Hội nghị đại biểu Nhân dân bàn việc xây dựng đời sống văn hóa ở cơ sở năm 2026
Chiều ngày 30/3/2026, UBND – UBMTTQ Việt Nam xã Thạch Thất tổ chức Hội nghị Đại biểu nhân dân bàn việc xây dựng đời sống văn hóa ở cơ sở năm 2026. Đây là diễn đàn quan trọng để chính quyền và Nhân dân cùng đánh giá kết quả thực hiện Nghị quyết năm 2025, đồng thời thống nhất chương trình hành động nhằm nâng cao chất lượng đời sống văn hóa, tinh thần tại địa phương trong năm mới.
08:09 30/03/2026
Thạch Thất: Tiếp sóng hội nghị về triển khai mô hình trường chất lượng cao và phòng chống dịch bệnh trên địa bàn
Thạch Thất: Tiếp sóng hội nghị về triển khai mô hình trường chất lượng cao và phòng chống dịch bệnh trên địa bàn
Chiều nay ngày 30/3/2026, UBND thành phố Hà Nội đã tổ chức hội nghị trực tiếp kết hợp trực tuyến nhằm triển khai mô hình trường chất lượng cao năm học 2026–2027 và tăng cường công tác phòng, chống dịch bệnh trên địa bàn. Hội nghị được kết nối tới 126 xã, phường với sự tham dự của lãnh đạo các sở, ban, ngành thành phố cùng các địa phương. Tại điểm cầu thành phố, đồng chí Vũ Thu Hà – Phó Chủ tịch UBND thành phố chủ trì hội nghị với sự tham dự của lãnh đạo Ủy ban MTTQ Việt Nam thành phố, các ban HĐND cùng đại diện Sở Giáo dục và Đào tạo, Sở Y tế và các sở, ngành liên quan.
08:05 30/03/2026
Thạch Thất tổ chức Lễ đón nhận Bằng xếp hạng Di tích Lịch sử – Văn hóa Đình Đụn Dương
Thạch Thất tổ chức Lễ đón nhận Bằng xếp hạng Di tích Lịch sử – Văn hóa Đình Đụn Dương
Sáng ngày 29/3/2026, thôn Đụn Dương xã Thạch Thất đã tổ chức Lễ đón nhận Bằng xếp hạng Di tích Lịch sử – Văn hóa cấp Thành phố cho di tích đình Đụn Dương. Dự buổi lễ có đồng chí Vương Thị Thảo - UVBTV, Chủ tịch Ủy ban Mặt trận Tổ quốc Việt Nam xã; đồng chí Nguyễn Trường Giang - UVBTV, Phó Chủ tịch UBND xã, cùng các đồng chí lãnh đạo phòng Văn hoá - Xã hội, lãnh đạo thôn, Ban công tác mặt trận, các chi hội đoàn thể và nhân dân thôn.
08:03 29/03/2026
Lễ Khánh thành công trình tu bổ, tôn tạo Di tích lịch sử văn hóa đình Lại Khánh
Lễ Khánh thành công trình tu bổ, tôn tạo Di tích lịch sử văn hóa đình Lại Khánh
Sáng ngày 29/3/2026, thôn Lại Khánh xã Thạch Thất đã Lễ khánh thành công trình tu bổ, tôn tạo di tích đình Lại Khánh. Dự buổi lễ có đồng chí Nguyễn Doãn Luỹ - UVBTV, Phó Chủ tịch UBND xã, cùng các đồng chí lãnh đạo Uỷ ban MTTQ Việt Nam xã; phòng Văn hoá - Xã hội, Ban Quản lý dự án đầu tư - hạ tầng; lãnh đạo thôn, Ban công tác mặt trận, các chi hội đoàn thể và nhân dân thôn.
08:01 29/03/2026
Thạch Thất: Dâng hương tri ân các Anh hùng Liệt sĩ và trao Giấy chứng nhận đại biểu HĐND xã khóa II, nhiệm kỳ 2026 – 2031
Thạch Thất: Dâng hương tri ân các Anh hùng Liệt sĩ và trao Giấy chứng nhận đại biểu HĐND xã khóa II, nhiệm kỳ 2026 – 2031
Chiều ngày 26/3, trong không khí trang nghiêm trước Kỳ họp thứ nhất HĐND xã Thạch Thất khóa II, nhiệm kỳ 2026 – 2031, các đồng chí Thường trực Đảng ủy, Ủy viên Ban Thường vụ Đảng ủy, Thường trực HĐND, lãnh đạo UBND, Ủy ban MTTQ Việt Nam xã, các thành viên Ban Chỉ đạo, Ủy ban Bầu cử xã cùng các đại biểu HĐND xã khóa II vừa trúng cử đã thành kính tổ chức lễ dâng hương tại Đền thờ Liệt sỹ xã Thạch Thất.
15:00 27/03/2026
Xã Thạch Thất nghiêm túc quán triệt Nghị quyết số 02-NQ/TW – Định hình tầm nhìn phát triển Thủ đô trong kỷ nguyên mới
Xã Thạch Thất nghiêm túc quán triệt Nghị quyết số 02-NQ/TW – Định hình tầm nhìn phát triển Thủ đô trong kỷ nguyên mới
Sáng ngày 26/3/2026, Thường trực Đảng ủy xã Thạch Thất tổ chức tiếp sóng trực tuyến Hội nghị nghiên cứu, học tập, quán triệt, tuyên truyền và triển khai thực hiện Nghị quyết số 02-NQ/TW ngày 17/3/2026 của Bộ Chính trị về xây dựng và phát triển Thủ đô Hà Nội trong kỷ nguyên mới và Chương trình hành động của Ban Thường vụ Thành ủy thực hiện Nghị quyết. Hội nghị được tổ chức theo hình thức trực tuyến tại hai điểm cầu trên địa bàn xã.
14:52 27/03/2026
Xã Thạch Thất: Tổ chức kỳ họp HĐND thứ nhất khoá II kiện toàn tổ chức bộ máy nhiệm kỳ 2026-2031
Xã Thạch Thất: Tổ chức kỳ họp HĐND thứ nhất khoá II kiện toàn tổ chức bộ máy nhiệm kỳ 2026-2031
Ngày 27/3/2026, HĐND xã Thạch Thất đã tổ chức Kỳ họp thứ nhất khóa II, nhiệm kỳ 2026 - 2031 nhằm kiện toàn bộ máy chính quyền địa phương sau cuộc bầu cử đại biểu HĐND các cấp. Tham dự kỳ họp có 26 đại biểu vừa trúng cử cùng các đồng chí Thường trực Đảng ủy, Ủy viên Ban Thường vụ Đảng ủy, Thường trực HĐND, lãnh đạo UBND, Ủy ban MTTQ Việt Nam xã và thủ trưởng các cơ quan, đơn vị trên địa bàn.
14:43 27/03/2026